Το Εθνικό Μετεωρολογικό Κέντρο της Κίνας (NMC) ζήτησε από τους χρήστες του Ιστού να βρουν ένα νέο όνομα για τον τυφώνα Χάιμα, καθώς η σημερινή του ονομασία θα πάψει χρησιμοποιείται μετά τις τεράστιες ζημιές που προκάλεσε πέρυσι στην Κίνα και τις Φιλιππίνες.
Από την Τετάρτη, που ανέβηκε στο μικρομπλόγκ που διατηρεί το NMC στην πλατφόρμα Sina Weibo, η εκστρατεία του κέντρου είχε κοινοποιηθεί γύρω στις 90.000 φορές με πάνω από 30.000 σχόλια.
Οι χρήστες έσπευσαν να εκμεταλλευθούν την ευκαιρία. «Τι λέτε για το ‘Μίλου’, ένα είδος ελαφιού; Η προφορά του στα κινεζικά μοιάζει με το ‘άντε, χάσου’, που εκφράζει την επιθυμία του κοινού να χάσει ο τυφώνας το δρόμο του και να μην μας χτυπήσει», δήλωσε ένας χρήστης.
«Θέλω να ονομαστεί ‘Μπάσι’ από το διάσημο πάντα που πέθανε την Τετάρτη», δήλωσε κάποιος άλλος ενώ αρκετοί χρήστες προτείνουν ονόματα πρώην συντρόφων τους. «Ο κόσμος σε όλη την Κίνα θα τον μισήσει», ανέφερε η “Xusansui” στο λογαριασμό της στο Weibo.
Σε κάθε περίπτωση, οι κανόνες ορίζουν ότι το νέο όνομα θα πρέπει να έχει τουλάχιστον δύο ή τρεις κινεζικούς χαρακτήρες και να είναι εύκολο στην προφορά του. Δεν επιτρέπονται εμπορικές ονομασίες ή ονόματα που έχουν χρησιμοποιηθεί στο παρελθόν.
Το NMC θα επιλέξει τυχαία τρεις χρήστες από αυτούς που κοινοποίησαν την ανάρτηση από τις 13 έως τις 18 Σεπτεμβρίου. Ο καθένας θα κληθεί να προτείνει τρία ονόματα. Yστερα από διάφορα στάδια επιλογής, το τελικό όνομα θα επιλεγεί και θα ανακοινωθεί τον Φεβρουάριο του 2018, ενώ ο NMC θα απονείμει αναμνηστικό δίπλωμα στον νικητή.
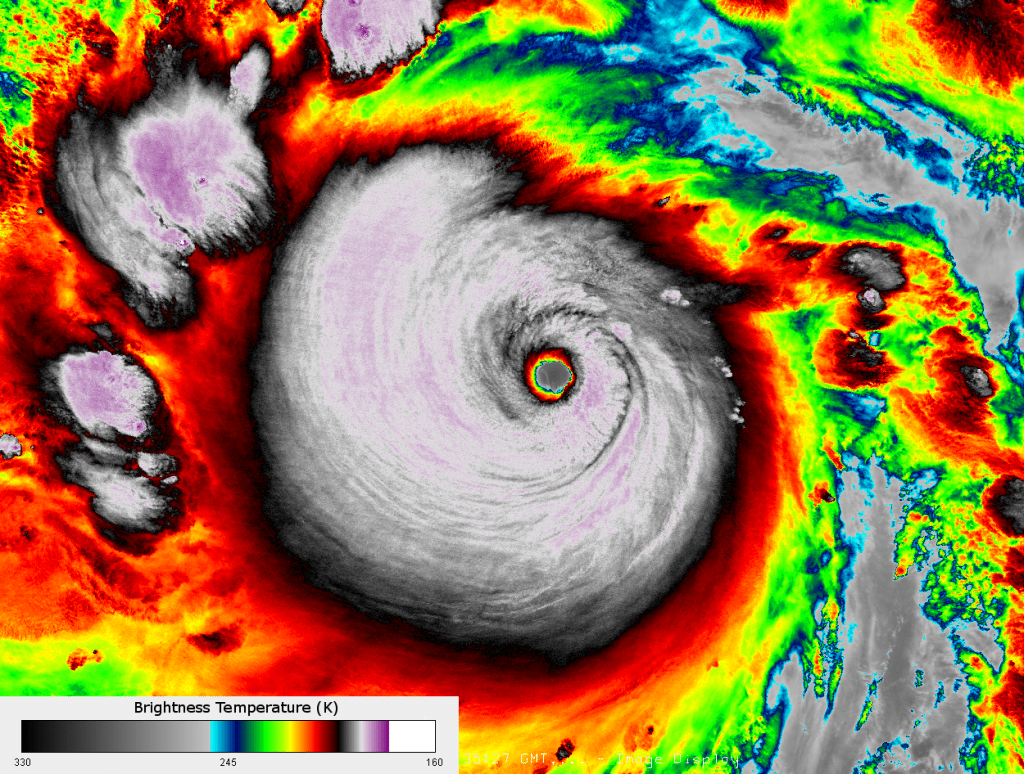
Το «Χάιμα» θα αφαιρεθεί από τη λίστα με τα ονόματα τροπικών κυκλώνων καθώς ο τυφώνας αυτός προκάλεσε σοβαρές καταστροφές στις Φιλιππίνες και στη νοτιοανατολική Κίνα το 2016. Η απόφαση ελήφθη από την Επιτροπή Τυφώνων τον Φεβρουάριο που ζήτησε από την Κίνα να υποβάλει ένα νέο όνομα.
«Οι τυφώνες κωδικοποιούνταν με αριθμούς πριν από το 2000», δήλωσε ο Λι Τσινγκτσίνγκ, ειδικός για τους τυφώνες στο Πανεπιστήμιο της Ναντζίνγκ. Το 2000, η Επιτροπή Τυφώνων άρχισε να επιτρέπει στα 14 μέλη της να επιλέγουν ονόματα για τους τροπικούς κυκλώνες στο νοτιοδυτικό Ειρηνικό και τη Νότια Σινική Θάλασσα.
Δέκα ονόματα προήλθαν από την Κίνα. Σύμφωνα με τον Λι, τα ονόματα που έχουν υποβληθεί από την Κίνα περιλαμβάνουν ονόματα φυτών, ζώων, περιοχών ή μυθολογικών όντων.
«Το όνομα ενός τυφώνα μπορεί να χρησιμοποιηθεί πολλές φορές ή να αφαιρεθεί από τη λίστα καθώς προκαλεί τεράστιες ζημιές σε μία ή περισσότερες χώρες ή περιοχές», δήλωσε ο Τζι Χιεφέι, καθηγητής στο πανεπιστήμιο.
Η Επιτροπή Τυφώνων έχει αφαιρέσει συνολικά 40 ονόματα τυφώνων, 32 εκ των οποίων έπαψαν να χρησιμοποιούνται λόγω της σοβαρής καταστροφής που προκάλεσαν. Ο Τζι δήλωσε ότι όταν πάψει να χρησιμοποιείται ένα όνομα, η χώρα ή η περιοχή που αρχικά το πρότεινε καλείται να βρει ένα νέο.
Είναι η πρώτη φορά που ζητείται κάτι τέτοιο από τους πολίτες. «Η εκστρατεία επιτρέπει στο κοινό να καταλάβει καλύτερα τους τυφώνες και τις πιθανές ζημιές και τους ευαισθητοποιεί σε ό,τι αφορά την πρόληψη της καταστροφής», δήλωσε ο Λι.
